聯系人:王經理
銷售電話:13371051536
銷售QQ:1401548526
公司地址:山東省濰坊市高新區光電路155號光電產業加速器(一期)
13371051536

PRODUCT CENTER
聯系人:王經理
銷售電話:13371051536
銷售QQ:1401548526
公司地址:山東省濰坊市高新區光電路155號光電產業加速器(一期)
文章來源:土壤墑情監測儀 發布時間:2020-08-13 08:38:01 瀏覽次數:1422次
8月11日,記者從省農業農村廳獲悉,夏播尤其是入汛以來,我省大部土壤墑情適宜,對秋糧作物正常出苗發育較為有利,信陽、駐馬店等地部分地塊出現洪澇災害,但整體面積占比不大。我省對草地貪夜蛾防控有力,當前病蟲害發生程度輕于上年同期,秋糧長勢總體良好。
夏播期間,全省上下全力開展抗旱搶種和搶墑播種,基本實現應種盡種、適期播種,秋糧播種面積7600多萬畝。田間管理上,我省堅持“種子落地、管字上馬”,省農業農村廳組建了18個秋糧專家指導組,赴各地指導農民及時落實補種、化學除草、中耕、追肥等管理措施,做到早管精管細管。
7月下旬,我省多地出現強降雨天氣過程,尤其是豫南等地出現大到暴雨。省農業農村廳緊急印發通知,組織全省農業農村系統全力投入防汛救災工作,成立專家組赴受災地區,指導當地及時排除田間積水,努力把災害損失降到最低。
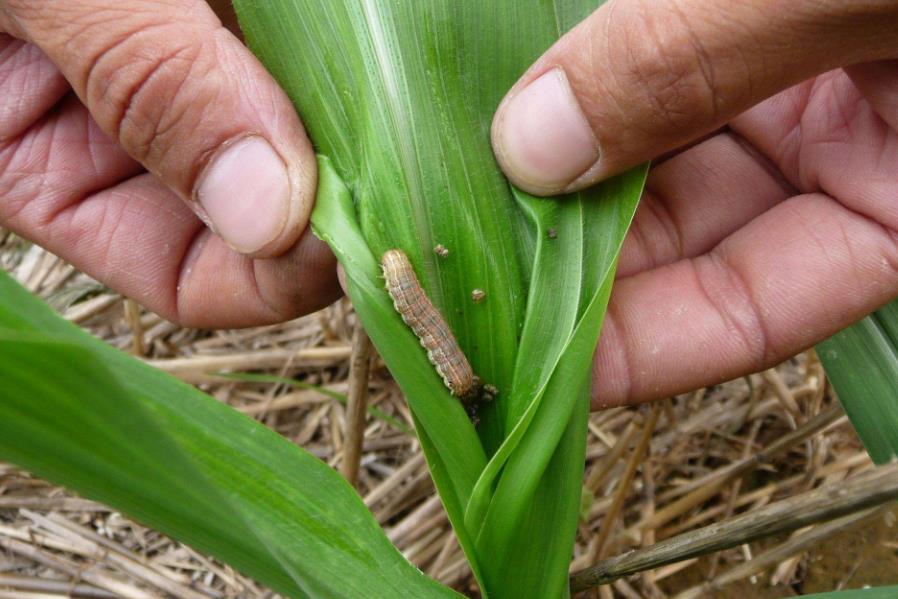
草地貪夜蛾是玉米、高粱等作物上的遷飛性重大害蟲。根據草地貪夜蛾的遷飛規律和區域為害特點,我省已建立淮河、沙河、黃河、豫冀界4條草地貪夜蛾監測阻截帶。截至8月4日,我省先后在信陽、南陽、駐馬店、周口、商丘、開封、三門峽等7市的26個縣(市、區)發現草地貪夜蛾幼蟲或成蟲,全省累計見蟲面積是去年同期的九分之一。發現蟲情后,各地迅速組織點殺點治和應急防控,及時遏制了草地貪夜蛾的蔓延,確保了玉米的正常生長。
文章轉載自央廣網

自動墑情監測系統包括墑情自動監測站和墑情信息監測軟件系統,墑情自動監測站安裝在農田中,通過無線模塊、短信或GPRS方式將監測的墑情、氣象數據發送到安裝有墑情信息監
土壤墑情自動監測儀采用高頻電子技術制成,具有高精度,高靈敏度,可用于土壤水分檢測。通過對土壤介電常數的測定,可以直接、穩定的反映出各類土壤中真實水分含量并可測得土壤水分體積百分比、電導率等參數,是一種流行的土壤水分檢測方法。
墑情自動監測設備好用嗎?現在我們可以用它來進行旱情的實時監控,并且還能根據干旱程度隨時對農業生產提出建議。墑情自動監測設備是一種新型的儀器,通過傳感器采集到信息后,將其傳輸給上位機,從而實現了數據收集、處理和顯示功能。墑情自動監測設備都有哪些特點呢?
土壤墑情監測儀特點是什么?